This app was mentioned in 65 comments, with an average of 4.18 upvotes
Probably to scare people, they are a media company after all.
Edit: I'm not a big fan of TWC because of this, they're like Accuweather to me basically. I recommend looking elsewhere for media coverage. On mobile instead of their app, I recommend a mix of the following:
- nhc.noaa.gov and your local noaa.gov site can be added as shortcuts on android and ios.
- Wx & All Clear are pretty good as well
- RadarScope is pricey but the best radar app IMO.
Not much of a TV replacement, although news stations will cover hurricanes quite a bit as well.
Also funny enough firefox is telling me Accuweather is spelled wrong. When I right click on it it suggests "weathercock" as a replacement. Sounds about right lol, they are a bunch of cocks.
Weather Timeline has been the /r/Androidapps standard since its inception and that's because it has good widgets, beautiful UI and best of all, free Dark Sky without an API key requirement. It's hard to argue against that. It has most people covered.
If you're a weather wonk, however, the main complaint is that it (along with most popular weather apps) is lacking in the radar department. That's where either PYKL3 and/or Radarscope come in. You can get down and dirty with the high res imaging and radar supplied from your state's NWS scans.
If you want to see who has the most accurate forecasts and average out everyone's forecasts, I recommend Climendo. My main complaint with it is that there's no radar or widgets.
My favorite altogether app that I run alongside PYKL3 and WT is a little beauty called WX. It gives a UI to all of the data on NOAA.gov and some widgets. Probably the most informative app on the list for US citizens and an all-time fave of /r/weather.
Chronus is good for Cyanogenmod/LineageOS roms because it lets you set a bunch of weather providers for your lock screen.
LinkMe: Wx, Weather Timeline, Climendo, Chronus, PYKL3, Radarscope, Storm
Edit: I forgot to mention Storm. It has some of the functionality of Radarscope showing storm models, tornado and hurricane models, lightning and slightly better radar than a lot of apps. It's as close as you can get to radarscope for free and a good companion WSHTF.
wX link here since linkbot facked up.
wX is one of the coolest weather apps I have played with. If one is a weather nerd, this app has tons of info as well as educational value. And it's open-source and free.
wX is a free and Open Source ( GNU GPL3 ) Android application that is geared towards storm chasers, meteorologists, and weather enthusiasts but can be used by anyone with ease.
US only.
Animated Knots by Grog: Teaches you to tie many useful knots from the Ashley Book of Knots and elsewhere.
WX: Best American weather app ever. Has high res radar imaging like Pykl3 and Radarscope, advisories, all NWS data and there's really nothing that you can't do with it. Good SHTF app.
Edit: wX Link
Swiss Paracord: Access to the Swiss paracord forums. Interesting bracelet/macrame patterns and knots for all of your paracord needs.
SkySafari 5: See what's going on in the night sky, check where the ISS is, lunar, solar events and the like.
Smart Tools: A bunch of measuring, conversion and other tools for getting small/quick jobs done without having to hunt down a real one in the shop.
Wizzy: Eliquid calculator for diy mixing needs. Good when you don't want to pull out the laptop just for using Ejuicemeup.
Photoshop Touch: Oldie, but goodie. Bought this years ago and Adobe (or Abandonbe as I like to call them) killed it. It's everything that their other image manipulation apps should be.
BackCountry Off-road Maps: Name says it all. Good for backpacking or just general dicking around in the woods.
Edit: BC Nav Link
Bonus: Kindle and Moon+ Reader loaded down with diy, bushcraft and GNU/Linux books.
Linkme: Animated Knots by Grog, WX Weather, Swiss Paracord, SkySafari 5, Smart Tools, Wizzy Eliquid, BackCountry, Kindle, Moon+ Reader
I'm a bit biased but I prefer this one: https://play.google.com/store/apps/details?id=joshuatee.wx ... radar but lots of other stuff as well, my goal was to replace all the weather apps on my phone with just one. The radar has some features the other's don't have but also lacks some of their features, etc.
You might like my app which is free and no ads: https://play.google.com/store/apps/details?id=joshuatee.wx&hl=en
It has what you are looking for although it also has a whole lot more ... thx, Josh
If you don't want to pay the $10 for RadarScope I believe wX will do a similar job for free. It also has no ads and is open source. The only catch is it is a bit confusing if you don't know what you're doing.
If you have Android this is free ( disclaimer: i wrote this) and does include SRM along with usual Level 3 products and some Level 2: https://play.google.com/store/apps/details?id=joshuatee.wx&hl=en
A few folks have told me it's a good learning tool as well. Hope it helps if you have Android. --Josh
For those on Android this is available w/o cost ( w/o ads ) and is opensource: https://play.google.com/store/apps/details?id=joshuatee.wx&hl=en
It displays Level 2 base reflectivity and base velocity and quite a few Level 3 products. ( disclaimer: i wrote this )
This is the one I use:
https://play.google.com/store/apps/details?id=joshuatee.wx
Its entirely free and open source and pulls data directly from NWS. Granted, it's geared towards meteorologists, storm chasers and weather enthusiasts, so as Joshua says in his description, it might be overkill for someone just wanting the 7 day forecast.
Radarscope is supposed to be good but I didn't want to spend $10 on it. MyRadar works well and has a decent UI but I didn't like the ads. I currently use wX, which is very similar to Radarscope, and really like it. It's free but the learning curve is fairly steep. I also paid for the yearly Dark Sky app and their radar is decent.
Since weather is an interest of mine. I have a ton of apps.
But my best tools (IMO, and assuming US) are weather.gov and spc.noaa.gov
The NWS often has the best forcasts in my experience compared to private sector. On PC I also use GRlevel2AE and GREarth (just for radar, and might be overkill/unnecessary for your experience/usage), on my phone i use Radarscope / PYKL3 Radar,again overkill/unnessary for your usage most likely) For alerts, Wx ( https://play.google.com/store/apps/details?id=joshuatee.wx&hl=en ) Pro weather alert, I also use but can be spammy, if you set it up that way [i.e. have tornado warnings set to go off every few minutes until they expire].
I personally use radarscope and this app Link: https://play.google.com/store/apps/details?id=joshuatee.wx It's Android only so if you have an iPhone you're out of luck. But it's awesome, it has literally all the information you could ever need but there's a bit of a learning curve to find where everything is at. It has level 2 radar so the same as radarscope however it's uncompressed so it can go through your data pretty quick if you're using it on the road.
Provided you are on Android ( not sure for iOS ) what is generally referred to as "Emergency Alerts" or "Emergency Broadcasts" can be configured to alert on Tornado warnings and to play sound continuously until acknowledged.
Additionally, I like your idea and I just added it to my weather app: https://play.google.com/store/apps/details?id=joshuatee.wx&hl=en
I probably won't update google play until next month but if you are interested I can email you my dev version and you can sideload. --Josh
If you are meteorologically-inclined, try out WX. The UI is kinda hard to navigate at first, but it has a pretty decent radar you can use along with upper air, satellite, SPC and text products.
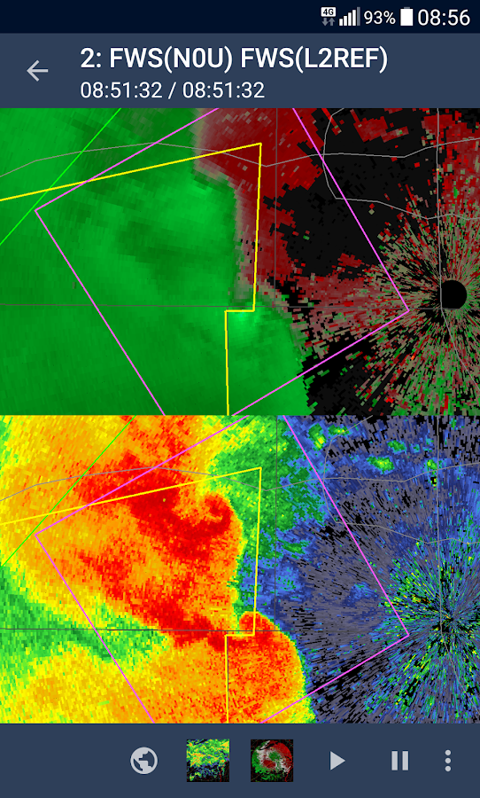
Here is another example from this year ( SW of Dallas March 8th of this year I think ) that I use as an example for my app - the image the has velocity on top , ref on bottom. 2nd URL directly to the image but not sure it will work well. These were so well defined that even with Level 3 it was apparent.
https://play.google.com/store/apps/details?id=joshuatee.wx https://lh3.googleusercontent.com/WwpXQBf00L7sAfb-kV9r4NJaVD4Lrqi28WSRrfecJYVGZEgFVyn2yCkwY3BPyOew_vNo=h900
My feedback is a bit biased but you might like "wX" : https://play.google.com/store/apps/details?id=joshuatee.wx
... has direct access to quite a few model and mesoanalysis tools ( and other things ). no ads, free, and open source also .
I've heard of that app but since I'm kind of a tightwad about spending money on apps I'll have to pass on it. If you like weather apps that show a lot of information, check out this one: https://play.google.com/store/apps/details?id=joshuatee.wx
If NWS radar and forecast models are your main interests, check out wX
https://play.google.com/store/apps/details?id=joshuatee.wx&hl=en_US&gl=US
It's for weather geeks, not anyone looking for fancy pictures or artificially smoothed radar. The focus is on giving you access to the vast amount of data from NOAA and other public sources.
It takes some time to get used to it, but IMHO, it's worth the effort. It works on phones, tablets and Chromebooks.
https://play.google.com/store/apps/details?id=joshuatee.wx
Reccomend this app if you have Android, it may not be the cleanest slick looking, and the UI take some getting used to. I reccomend turning on navigation drawer on main screen in the UI settings. But it's become a one stop shop for a lot of things I want to check out.
Has radar, model runs, sattelite, alerts, just to name some of the features.
I randomly stumbled across this app called Wx https://play.google.com/store/apps/details?id=joshuatee.wx
it's a very customizable app, no ads or anything of the sort, can be a lot to navigate, it basically just aggregates as many sources of info (mostly US/NAM). But with thd customization you can sort out exactly how you'd like to browse selected info/maps/charts/discussions
wX. I like it cuz free, ad free and includes a bunch of geeky metrologist graphs and such from NOAA. And open source
https://apps.apple.com/us/app/wxl23/id1171250052
https://play.google.com/store/apps/details?id=joshuatee.wx&hl=en_US&gl=US
Hey /u/chrispt, I remembered you asking this question and since then I started using Wx for Android which I would recommend:
https://play.google.com/store/apps/details?id=joshuatee.wx&hl=en_US&gl=US
The UI is just okay but it has all of the text products that I want as well as notifications and other cool features. Looks like development is active on this one. There's also an iOS version if you are on iPhone.
wx has everything that you need, however the UI isnt as nice as other apps and it may be a bit confusing. This has mostly everything from the NWS website, probably too much for most users.. you can get soundings from the atmosphere, current surface observations, some numerical models, convective outlooks, forecast discussions for each office, satellite and radar, watches, warnings and mesoscale discussions and more.
This is what I use too! They have a mobile site at https://mobile.weather.gov and there's a good (unofficial) open source Android app to display the data.
https://play.google.com/store/apps/details?id=joshuatee.wx&hl=en_US
If you have an android phone, wX pulls velocity images directly from the NWS. But spending $10 on RadarScope isn't a bad thing. It's a really good radar app.
I've been using wX pretty much ever since its release. It's highly customizable with no IAP.
Another great (paid) app I've used for several years is eWeather HD.
wx is essentially the NWS site but in an app. It doesn't look the best but it has more information than you need. I don't know about the widgets or notifications but it has both, I've just never used them.
Wx is really good as it's just the NWS data in an app form. If you only want the basics then this probably is Overkill but it does have radar and 7 day forecasts.
I use wX, however it takes a bit of time to adjust since there's a ton detailed weather info used by National Weather Service. Only setback is info is for the US. Big perk is that it's free and no ads
https://play.google.com/store/apps/details?id=joshuatee.wx&hl=en_US
Source Code -> https://gitlab.com/joshua.tee/wx
For those not willing/able to throw $10 at an app, wX is an Android alternative. It's open source, and I believe the dev is on /r/weather frequently. Same radar data as Radarscope, but it doesn't have the tie-ins to the higher end paid services.
For android, I use Wx and RadarScope Pro. Wunderground would always crash during the worst storms, and I can't have that. Not sure if it's improved, but I haven't looked back in a year or so.
Here is the one I use, called simply wX. It's made by a storm chaser and meteorologist, and has a ton of different features in it. It's been the best one I've found and have been using it exclusively since it was first created a couple years ago, before it was even put on Play, back when the only way to download and update it was via an APK file hosted on the developer's Google Drive.
It displays local weather, local radar, visible satellite, area forecast discussions by the NWS, and various products from the Storm Prediction Center and National Hurricane Center, along with a national lightning map, active US severe warnings dashboard, fire warning maps and access to analysis and various future weather models that the NWS uses every day.
https://play.google.com/store/apps/details?id=joshuatee.wx
"wX is a free and Open Source ( licensed under GNU GPLv3 in order to promote continued prosperity for the program in the long run, see details at bottom) Android application that is geared towards storm chasers, meteorologists, and weather enthusiasts but can be used by anyone with ease. If you only need current conditions and your local 7 day forecast then this app is probably more then you need although it will easily provide those 2 things as well. Currently United States locations are supported. Canada is also supported but is be considered in Beta for now."
You might like my android app, has most of that stuff including an interface to the great lakes models ( MISC tab, 2nd row, far right in the submenu of the NHC activity): https://play.google.com/store/apps/details?id=joshuatee.wx&hl=en
In my app: https://play.google.com/store/apps/details?id=joshuatee.wx&hl=en
I already have a notification for temperature. Would probably take 20 minutes to add an option to show dewpt instead of temp. Only problem is the NWS observations update roughly every hour. Someone pointed out model data, this app offers that as well from a variety of providers. Let me know if you are interested despite the update only every hour. Thanks, Josh
You might like one of these two apps (both free/no ad/open source) that I wrote for easy access to advanced US NWS content including Nexrad radar and NHC ( MISC Tab -> hurricane image):
https://play.google.com/store/apps/details?id=joshuatee.wx&hl=en_US
https://itunes.apple.com/us/app/wxl23/id1171250052?mt=8
​
warning - there is a bit of a learning curve but please check out the App Store write-up including FAQ if you choose to give it a try.
So, I had kept a running list the past 3 years of every freeLevel 2 radar app (level 2 data is more detailed than level 3/ Everything you see out there), whenther it was a website or app, but they have started getting taken down,
Copying my post from/r/weather
Tldr: Joshua t 's wx app is equivalent to radarscope and is free and extremely powerful. so( I have both)
_---------------------------
Over the past two years I've posted about this and kept a somewhat updated list of Free Level 2 radar sites that anyone could access, however since then, they've been getting taken down one by one. WeatherUnderground's is long gone(and the Wundermap Level 2 feed has been wrecked and nonfunctional and was never fixed) , Accuweather's is practically dead.(example: https://www.accuweather.com/en/us/new-york/nmigs-radar ) is non functional, aprsfl seems completely removed...
nexview.io was being worked on by /u/nexview, but there've been a lot of Cert issues with the cite- and it was still in work to show live data rather than historical.... -right now it also looks dead unfortunately.
...and the LATEST Casualty, Stormtrack's free Radarscope Page was disabled... :(
This is my current list of Level 2 radar sources that still is operational - and t some of them require being accessed from a phone and don't work from a PC browser:
www.simuawips.com/mobile (only works with phones but is free)
Joshua's Wx radar app- (I use this with Radarscope, it more than holds it's own) https://play.google.com/store/apps/details?id=joshuatee.wx&hl=en_US
weather.us - https://weather.us/radar-us (The jury's still out on if this truly is Lvl 2 feeds)
The newest addition as of last year: weathernerds https://www.weathernerds.org
https://www.weathernerds.org/radar/ Right now it has just reflectivity and velocity-
Aside from that , the hunt continues- and I've already heard from friends I've told about these- they've come in handy crucially, for many of them live in the most tornado-prone and hurricane -prone areas of the country. Actually, ...as do i.
I know some will simply say "Just use level 3 and deal with it" - We can do better than that..
We might head to a point where there are no free sources- and Yes, some sides like the College of DuPont' radar site are excellent- but going all the way on detail- will help assure those who have tornadoes hit their town, or eyewalls of hurricanes approach them every year almost(Or or people they know).
Regarding paid apps: Yes, Radarscope (non-free, now) is a thing , and a very good app. I also see stuff like weather lab(ot free) (only for ios, so still no good for Android) , which I dont have but looks like it allows for 3-D volumetric displays- making it potential GR2 analyst sort of provider.....
Anyway If anyone else knows of good sites the public can use that are new- post them!
Extra Edit: I know Iowa State provided level 2 data, but am not sure if there is a resource on the web for the public to figured out how to easily use it to watch real time events. It's not as simple as an app or website- and details on using it seem to not exist in a good format for newcomers who might need it in high risk areas.
I use Radarscope and
https://play.google.com/store/apps/developer?id=Granite+Apps NOAA by GraniteApps
https://play.google.com/store/apps/details?id=joshuatee.wx WX has a ton of pages
Volumetric rendition isn't helped by the storm being so close to the radar. The upper portions of the storm are outside of the radar's view.
Was it spinning? Yes. Was it a tornado? No. I wouldn't rule out a waterspout later once it got over the Atlantic, though.
To answer your question, velocity products are kind of necessary when determining if a storm is producing a tornado. The WX app can show you the velocity data (the button is there on the screenshots), you should definitely use it in the future.
And though wX is a really great app, nothing beats RadarScope for viewing NEXRAD data on a phone.
You might like one of these two apps (both free/no ad/open source) that I wrote for easy access to advanced US NWS content - warning, steep learning curve:
https://play.google.com/store/apps/details?id=joshuatee.wx&hl=en_US
A free app with similar functionality is wX
I can't say enough about wX - it's a great app... https://play.google.com/store/apps/details?id=joshuatee.wx
wx it's not pretty but it's the NWS site put into an app form. I trust this data more than the private companies
Until then I wrote some free stuff that has velocity if you are interested, radar is not as full featured as RS.
https://play.google.com/store/apps/details?id=joshuatee.wx&hl=en_US
Try this one...
https://play.google.com/store/apps/details?id=joshuatee.wx
Has charts from NOAA, and you can customize to see just about anything
You might like one of these two apps that I wrote for easy access to advanced US NWS content:
https://play.google.com/store/apps/details?id=joshuatee.wx&hl=en_US
If you want comprehensive try WX. It's the only program that I know of that has free level 2 and 3 radar and it's open source.
I have been using Wx and have found it meets my needs.
https://play.google.com/store/apps/details?id=joshuatee.wx
I like that it includes SPC Outlooks and model data.
You might like my app ( not in F-Droid yet but is GNU GPLv3 ). It's got quite a bit more then just radar though:
https://play.google.com/store/apps/details?id=joshuatee.wx&hl=en
The app that I use for this type of information is called wX. It’s a little odd at first until you get used to it, but the app is basically built for storm chasers and storm spotters. It’s available for Android and Apple devices
The Damage Assessment Toolkit (web-based) is helpful in some ways as well. This web-based app shows a tornado’s track and the damage it does. The one downside is that the info is only available after the NWS survey teams go out and survey the damage.
Tornado HQ (web-based) tracks current severe weather warnings, and it does have a limited history function so you can see past events.
Unfortunately, most any decent indepedent weather app, service, or API tends to get gobbled up by Accuweather or some other proprietary service (Eg, Apple w/ Dark Sky). I'll drop my resources that I use, but greatly welcome any others that I may have missed or are unaware of
If quality of information is what you're after, and you're in America or wanting American-specific weather NOAA is the gold standard. Unfortunately, looks and ease of use to the layman aren't their priorities. I don't think they even have official mobile apps (though plenty wil try to brand themselves as "NOAA Radar" or whatever). It's probably not what you're looking for, but I'll link them anyway in case people aren't aware, they're still the best resource out there.
NOAA Weather, Natiional Map for watches, warnings and forecasts, enter your zip code or city state for your local version.
Their Radar page has been recently updated, and is quite good: NOAA Weather Radar
NOAA Storm Prediction Center Convection Outlook
NOAA National Hurricane Center
If you want access to these on mobile, Wx is my recommendation, includes widgets for most of this information. Not sure about iOS for NOAA specific stuff. I'm sure it exists, but not my wheelhouse.
For non NOAA products, Windy is an excellent resource. They also have mobile products with widgets that are quite good. If you're looking for a single app to do it all and have a nice look, support for mobile/widgets, this is it. And it's not just for wind btw, they have radar, Satellite w/ infrared, forecasts, temperatures, precipitation maps, etc etc etc.
Lastly, probably not what you're looking for, but if you want hands down the best mobile radar app out there, RadarScope (Android, iOS). It Just does live radar, but it's far and away the best Radar app available out there.
I mostly use web-based weather services, not apps. Check this
I have my own home weather station, so I am able to display it on Weather Underground.
Other options
or, go directly to the National Weather Service
https://www.weather.gov/forecastmaps
Also check the extensions from the Web Store
For live radar, I do use an Android app that supports ChromeOS
Note that it is not designed to be "pretty". It is aimed at users who want the raw data.
wX https://play.google.com/store/apps/details?id=joshuatee.wx
Free, no ads, no iap, open source.
Great radar and tons of depth to the data available.
I use WX, it should have what you need
wx is also really good. It looks ugly but it's the NWS site
Here is the play store link. It uses a lot of SPC resources, radars, forecasts, soundings, mesoscale discussions, etc... https://play.google.com/store/apps/details?id=joshuatee.wx
You might like one of these two apps (both free/no ad/open source) that I wrote for easy access to advanced US NWS content, specifically try MISC tab, look for the icon with the old style forecast chart - in there you can access most of the WPC stuff - warning, steep learning curve:
https://play.google.com/store/apps/details?id=joshuatee.wx&hl=en_US
Never used the storm app so I don't know how it compares, but I use wX on Android: https://play.google.com/store/apps/details?id=joshuatee.wx&hl=en_US
On Android, check out https://play.google.com/store/apps/details?id=joshuatee.wx
Yeah, the NCDC archives are great for research (and putting together visualizations like this and this) after the fact. But GR2A and GR3 are of limited use in that respect anyway, since they can only take 20 or 25 volume scans, as opposed to the hundreds one can use with other software like WCT, IDV and McIDAS.
>Nevertheless, you need the $250 GRLevel2 Analyst to display this data.
Nah, those realtime data can be ingested by other (free) apps like the ones I mentioned, but they're not nearly as user-friendly and pretty as GR software (and they're Java, ick). The volumetric capabilities aren't as slick as GR2A, either.
GR3 has a few things going for it over Radarscope, like vertical wind profiles and melting layer data, and, of course, the placefiles. Placefiles are quite powerful and can display a ton of useful data which far extend the usefulness of the software. Everything from GOES satellite overlays to lightning data to station plots to SPC/WPC maps and discussions...the list is huge. Also, the integration of Google Earth-like satellite maps is great. Plus, as a PC program it's a lot more convenient to use at home or the office and on a big screen.
But yeah, the average joe certainly doesn't need GRx, and honestly, Radarscope is a lot more than even a mild wx enthusiast needs. But at the $10 price point, why not?
What GR really needs to do is produce an integrated package that incorporates both the L2 features of GR2A with the derived L3 products of GR3. I suppose there must be a good reason why there isn't an all-in-one program but I can't figure out what it would be. I mean, it'd be nice to have an idea of how much rain a cell just dumped, but as the accumulation products are all layer 3, you're not getting that in GR2A.
Also, I would definitely recommend the WX app by /u/joshuat6, it's got just about everything in it.
Dunno about iOS. But /u/joshuat6's wX app for Android has got, well, everything.